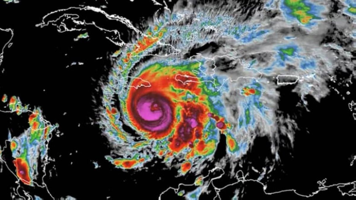
خلـّف الإعصار ميليسا -الذي يضرب منطقة الكاريبي- دماراً هائلاً بعد عبوره جامايكا وكوبا وجزر البهاما، كما طالت آثاره الشديدة هايتي وجمهورية الدومينيكان وأجزاء من أمريكا الوسطى، وتسببت في أضرار واسعة النطاق للمنازل والبنية التحتية والمحاصيل كما تأثرت المرافق الصحية بشكل خاص.
وذكرت الأمم المتحدة أن فريقاً من مكتب الأمم المتحدة لتنسيق الشؤون الإنسانية (أوتشا) توجه اليوم إلى جامايكا لتعزيز مكتب المنسق المقيم ودعم عمليات الطوارئ الوطنية. ولا تزال فرق متخصصة إضافية على أهبة الاستعداد في حال طلبت الحكومات مزيداً من الدعم.
ففي جامايكا، أفادت السلطات بحدوث فيضانات شديدة وانهيارات أرضية وانقطاع للتيار الكهربائي. وبدأ برنامج الأغذية العالمي عمليات لوجستية لتوصيل إمدادات الإغاثة من المركز اللوجستي الإقليمي لمنطقة البحر الكاريبي في باربادوس، بما في ذلك 2000 مجموعة غذائية طارئة تنقل جواً، إضافة إلى مواد أخرى تصل عن طريق البحر.
وفي كوبا، تقدم الأمم المتحدة وشركاؤها مساعدات أساسية. ومع تفعيل خطة العمل الاستباقية قبل وصول الإعصار، تمكنت وكالات الأمم المتحدة من تقديم مساعدات مبكرة، بما في ذلك الإمدادات الصحية، والأقمشة المشمعة، والمولدات الكهربائية، والمواد الزراعية.
وفي هايتي، أفاد مكتب الأوتشا بأن الأمطار الغزيرة والرياح القوية المرتبطة بالإعصار ميليسا تسببت في فيضانات شديدة وانهيارات أرضية ودمار في عدة مقاطعات، ولجأ أكثر من 14 ألف شخص إلى أكثر من 100 مأوى مؤقت في جميع أنحاء البلاد. ووفقاً للسلطات، لقي 24 شخصاً حتفهم، وأصيب 17 آخرون، ولا يزال 18 في عداد المفقودين.
وفي جمهورية الدومينيكان، تدعم مفوضية الأمم المتحدة لشؤون اللاجئين استجابة الحكومة، وتحافظ على التنسيق الوثيق مع السلطات الوطنية والشركاء لضمان وصول المساعدة إلى المجتمعات التي يصعب الوصول إليها والضعيفة. وقد تم توفير مواد إغاثة أساسية للمناطق المتضررة، ويجري التنسيق مع شركاء الأمم المتحدة لتسهيل تقديم الدعم عبر الحدود إلى هايتي.
أخبار ذات صلة
ملحوظة: مضمون هذا الخبر تم كتابته بواسطة عكاظ ولا يعبر عن وجهة نظر مصر اليوم وانما تم نقله بمحتواه كما هو من عكاظ ونحن غير مسئولين عن محتوى الخبر والعهدة علي المصدر السابق ذكرة.
